Brokered by: OLIVER & ASSOCIATES SARAH OLIVER REAL ESTATE BROKERAGE
MLS®: X12777388 ()
Price: $287,000.00
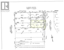
Address: 6 ELLSWORTH CLOSE, London East (East O) FOR SALE Postal Code: N5W1E6 Style: Bedrooms: 0 Bathrooms: 0 Parking: No Garage Garage: No Garage Lot Size: 75 ft ,3 in x 108 ft ,3 in Property Size: 75.33 x 108.29 FT ; 49.03 x26.30 x36.9 x95.16 x52.23 x108.s9
About 6 Ellsworth Close
Lovely property to build the home of your dreams. Pretty and peaceful Cul de sac location with easy access to highway 401, downtown London and Fanshawe College. The lot has a 75 ft frontage but is essentially a rectangle 52 ft x108 ft with an extra little triangle on the front corner. This parcel of land is walking distance to restaurants, coffee shops, grocery store and all your shopping essentials providing ultimate convenience yet tucked away on the cul de sac. Great neighbourhood with walking and bike trails. For the investor minded build up to 4 dwelling units; see the City of London website under "Additional Residential Units" for more information. Great opportunity! (id:56071). Get more information on 6 Ellsworth Close
Property Features
Features: Irregular lot size Rental Equipment: Directions: Cross Streets: Ellsworth Crescent. ** Directions: From Highbury Ave go east on Hamilton Rd then North on Hale St. then east on Ellsworth Crescent turn right onto Ellsworth Close. Zoning Description: R1-6 Access: Public Road Lot: 75.33 x 108.29 FT ; 49.03 x26.30 x36.9 x95.16 x52.23 x108.s9|under 1/2 acre 75.33 x 108.29 FT ; 49.03 x26.30 x36.9 x95.16 x52.23 x108.s9 Water: , Heating / Cooling: / Age: Basement:
Rooms & Sizes
Found a property your're looking for? Schedule a showing with our team. We're here to answer your questions and help you get a closer look.
John DiRenzo
Sales Representative RE/MAX Centre City John DiRenzo Team Brokerage
Direct Phone: (519) 857-3490
John DiRenzo, Salesperson. Cell: (519) 857-3490. RE/MAX Centre City John DiRenzo Team Brokerage.
Terms Of Use
This website is operated by RE/MAX Centre City John DiRenzo Team Brokerage, a brokerage who is a member of The Canadian Real Estate Association (CREA). The content on this website is owned or controlled by CREA. By accessing this website, the user agrees to be bound by these terms of use as amended from time to time, and agrees that these terms of use constitute a binding contract between the user, RE/MAX Centre City John DiRenzo Team Brokerage, and CREA.
The content on this website is protected by copyright and other laws, and is intended solely for the private, non-commercial use by individuals. Any other reproduction, distribution or use of the content, in whole or in part, is specifically prohibited. Prohibited uses include commercial use, "screen scraping", "database scraping", and any other activity intended to collect, store, reorganize or manipulate the content of this website.
Trademarks:
REALTOR®, REALTORS®, and the REALTOR® logo are certification marks that are owned by REALTOR® Canada Inc. and licensed exclusively to The Canadian Real Estate Association (CREA). These certification marks identify real estate professionals who are members of CREA and who must abide by CREA's By-Laws, Rules, and the REALTOR® Code. The MLS® trademark and the MLS® logo are owned by CREA and identify the professional real estate services provided by members of CREA. The data provided is for informational purposes only and should not be relied upon without verification.